
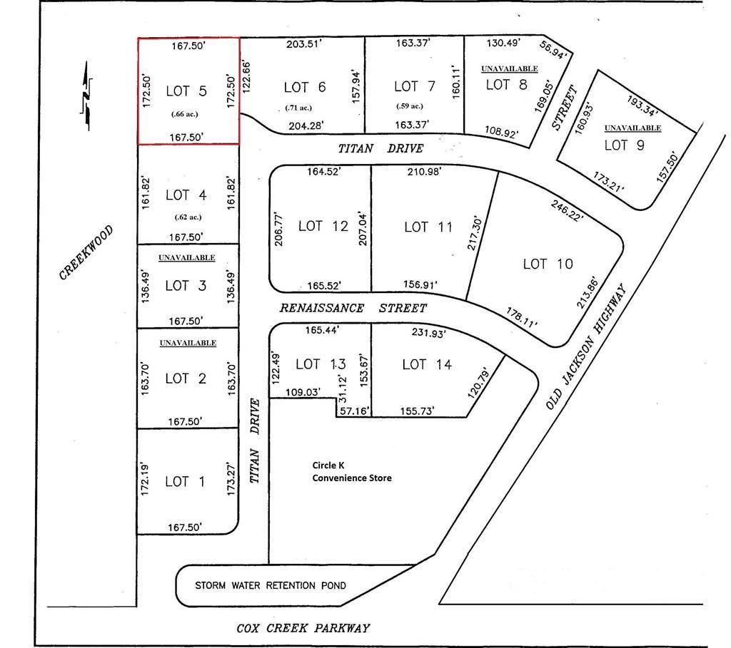
Lot 5, commercial lot located in commercial development just off of Cox Creek Parkway. Park sits close to the heart of the major shopping and restaurants area for Florence. Zoned RB. 24,000+ vehicles a day traffic count (2021 ALDOT).
Listed By
Agency Name: Prosouth Realty
Shown By
Agency Title: Crye-Leike Real Estate Services
Agency Phone: 866-253-4666
Estimated Payment
$ 598.73 per month $427.31 Principal & Interest $115.42 Property Tax $56.00 Homeowner's Insurance
Lot 5 Titan Dr | MLS# 153968
This land located at Lot 5 Titan Dr, Florence, AL is currently listed for sale with an asking price of $192,000. The property has approximately 0.66 Acres. Search Florence real estate on www.clcommercialrealestate.com today.