
Owner-finance for easy terms. Cash buyers can pay by debit or credit card as well. Nice lot to develop or hold for future value. Public water and electric may be available to run to property and will need septic. Owner/agent. No mobiles allowed. 1000 minimum build size on any other type of home, depending on subdivision. Finance is $100 finance fee and 5 months at $145 and closing costs are included. Buyer responsible for any/all taxes and lots sold "as-is". Quit claim deed conveys. Parcel ID# 200-13732-000
Listed By
Agency Name: Exp Realty
Agency Phone: 866-720-5056
Shown By
Agency Title: Crye-Leike Real Estate Services
Agency Phone: 866-253-4666
Estimated Payment
$ 10.99 per month $1.61 Principal & Interest $9.17 Property Tax $0.21 Homeowner's Insurance
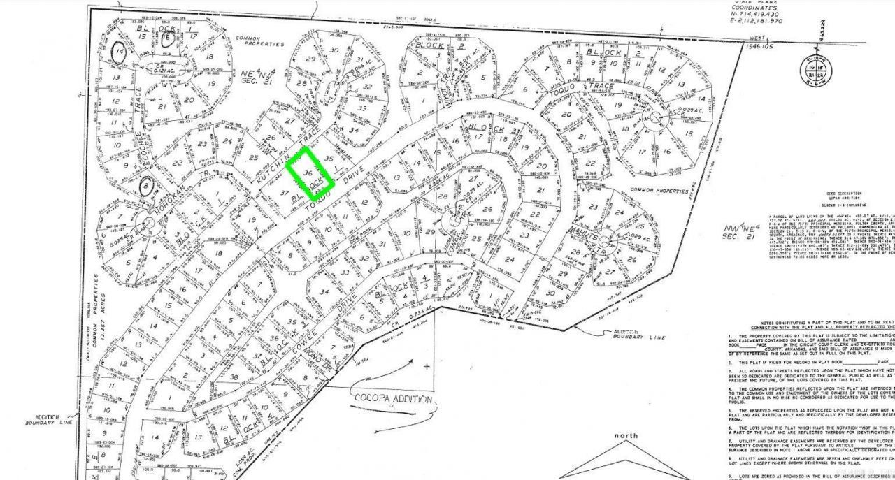
Lot 36 Toquo Drive | MLS# 25043444
This land located at Lot 36 Toquo Drive, Cherokee Village, AR 72526 is currently listed for sale with an asking price of $725. The property has approximately 0.25 Acres. Search Cherokee Village real estate on www.clcommercialrealestate.com today.