
Property is located on Highway 35. 1500 sf minimum. No swine or commercial poultry. Dogs and cats are limited to 2 per household; poultry limited to 5 per household. No animal of any kind may be bred or maintained for commercial purposes. No mobile homes. Dwelling must be completed within one year from date of construction.
Listed By
Agency Name: Old South Realty
Agency Phone: 501-315-4554
Shown By
Agency Title: Crye-Leike Real Estate Services
Agency Phone: 866-253-4666
Estimated Payment
$ 177.15 per month $137.99 Principal & Interest $21.08 Property Tax $18.08 Homeowner's Insurance
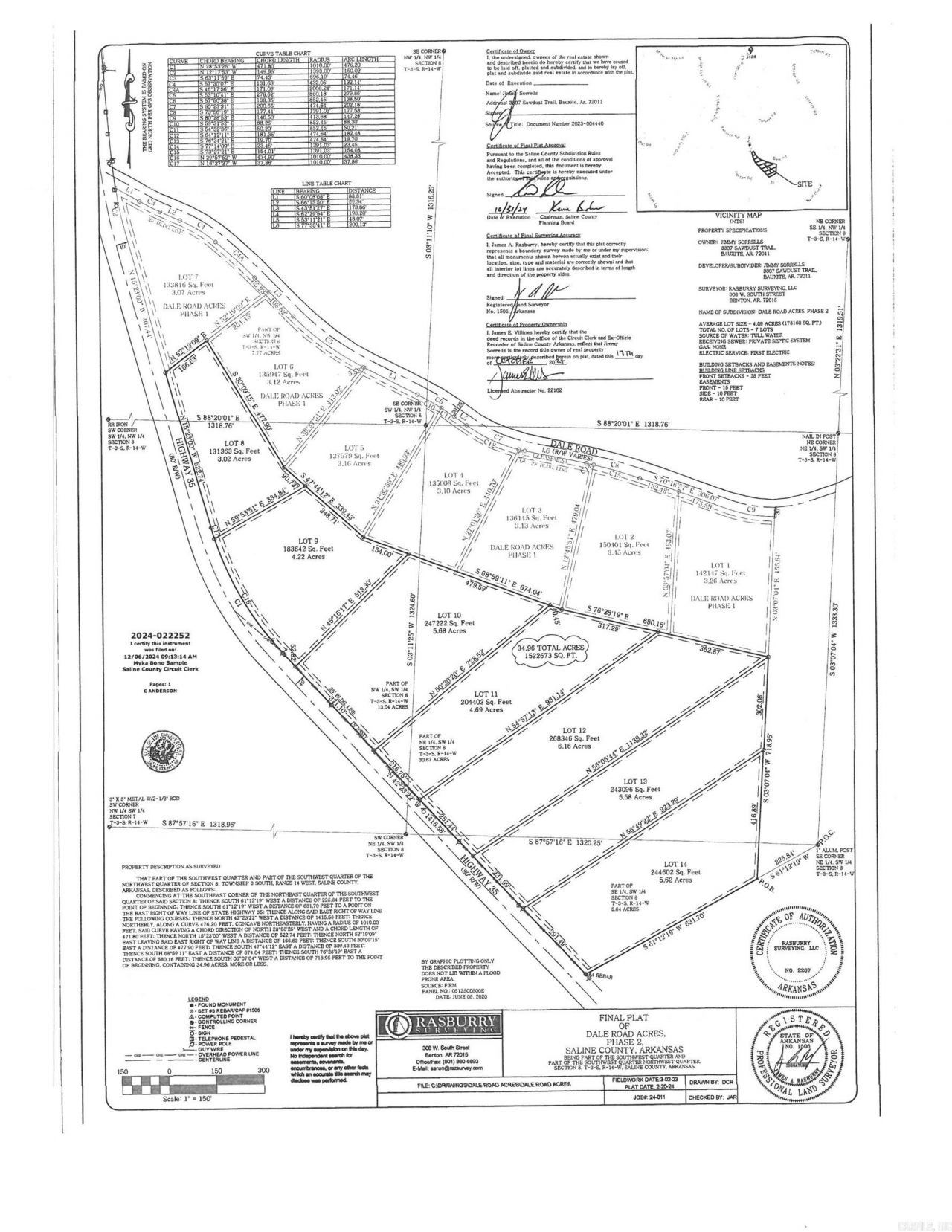
Lot 11 Dale Road Acres | MLS# 25009530
This land located at Lot 11 Dale Road Acres, Benton, AR 72015 is currently listed for sale with an asking price of $62,000. The property has approximately 4.69 Acres. Search Bauxite real estate on www.clcommercialrealestate.com today.