
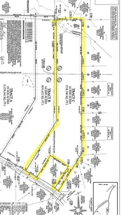
16.5 Acre Residential Lot | 725 Old Jackson Road | McDonough, GeorgiaAn exceptional opportunity where space, privacy, and long-term potential come together in the heart of McDonough, one of Henry County's most desirable and steadily growing areas. Ideally positioned just minutes from historic downtown McDonough, shopping, dining, and convenient access to I-75, this 16.5-acre lot offers the rare balance of peaceful seclusion and everyday accessibility. Enjoy the serenity of a private retreat while remaining connected to metro Atlanta conveniences. Perfect for an estate buyer ready to design a signature residence, a custom builder seeking their next showcase project, or an investor looking to secure premium acreage. A classic crossbuck wood perimeter fence frames the property, while two (2) private gated entrances with metal security gates provide both understated elegance and enhanced privacy. Valuable groundwork has already been completed, including a soil test and survey, with a water meter in place, allowing you to move forward with confidence and efficiency. Surrounded by tranquil landscape and mature natural beauty, the setting is peaceful, secluded, and ideal for a distinguished private residence. Whether you envision a grand custom estate or a serene retreat tucked away from the world, this remarkable property offers endless possibilities. Bring your builder, craft your vision, and transform this extraordinary acreage into the estate of your dreams where space, privacy, and exclusivity are yours to enjoy. Showings by appointment.
Listed By
Agency Name: EXP Realty, LLC.
Agency Phone: 888-959-9461
Shown By
Agency Title: Crye-Leike Real Estate Services
Agency Phone: 866-253-4666
Estimated Payment
$ 1,406.76 per month $1,023.76 Principal & Interest $248.83 Property Tax $134.17 Homeowner's Insurance
725 Old Jackson Rd | MLS# 7718875
This land located at 725 Old Jackson Rd , McDonough, GA 30252 is currently listed for sale with an asking price of $460,000. The property has approximately 16.50 Acres. Old Jackson Rd is located within the New Hope - Locust Grove school district. Search Mcdonough real estate on www.clcommercialrealestate.com today.