
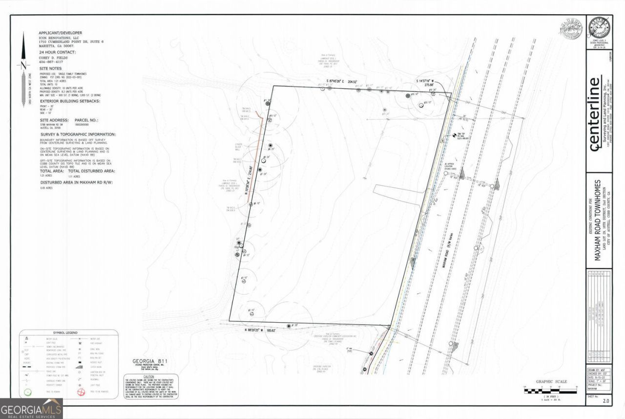
Shovel-ready infill townhome opportunity in Austell (Cobb County) with APPROVED land-disturbance/site development permit. This 1.21-acre tract at 5790 Maxham Rd SW, Austell, GA 30168 (Parcel #18002900090) is engineered for a 10-unit single family townhome development with staged erosion control, full civil plan set, and City approvals already in place-ideal for a small residential developer looking to skip months of upfront entitlement time. The stamped plans reference Cobb County Permit No. SPR-2024-00178 and include City of Austell Public Works approval (7/23/2025) and Zoning approval (7/30/2025). The plan set also documents total disturbed area 1.11 acres, site setbacks (front/rear 30', side 10'), and parking math supporting the 10-unit program (garages + guest spaces). Utilities and infrastructure groundwork are well-defined & sewer easement on file at Cobb County: sanitary sewer & water sheets are included, and a fire hydrant flow test/24-hr test letter for the site is part of the package-helpful documentation for fast-tracking utility coordination and vertical permitting. Bring your product, pricing, and build team-this one is positioned for a clean handoff from dirt to doors! No waiting, start building today!
Listed By
Agency Name: DreamHomeToday.net
Agency Phone: 678-981-6358
Shown By
Agency Title: Crye-Leike Real Estate Services
Agency Phone: 866-253-4666
Estimated Payment
$ 1,250.17 per month $1,001.28 Principal & Interest $117.67 Property Tax $131.22 Homeowner's Insurance
5790 Maxham Road | MLS# 10696317
This land located at 5790 Maxham Road, Austell, GA 30168 is currently listed for sale with an asking price of $449,900. The property has approximately 1.30 Acres. Search Austell real estate on www.clcommercialrealestate.com today.