
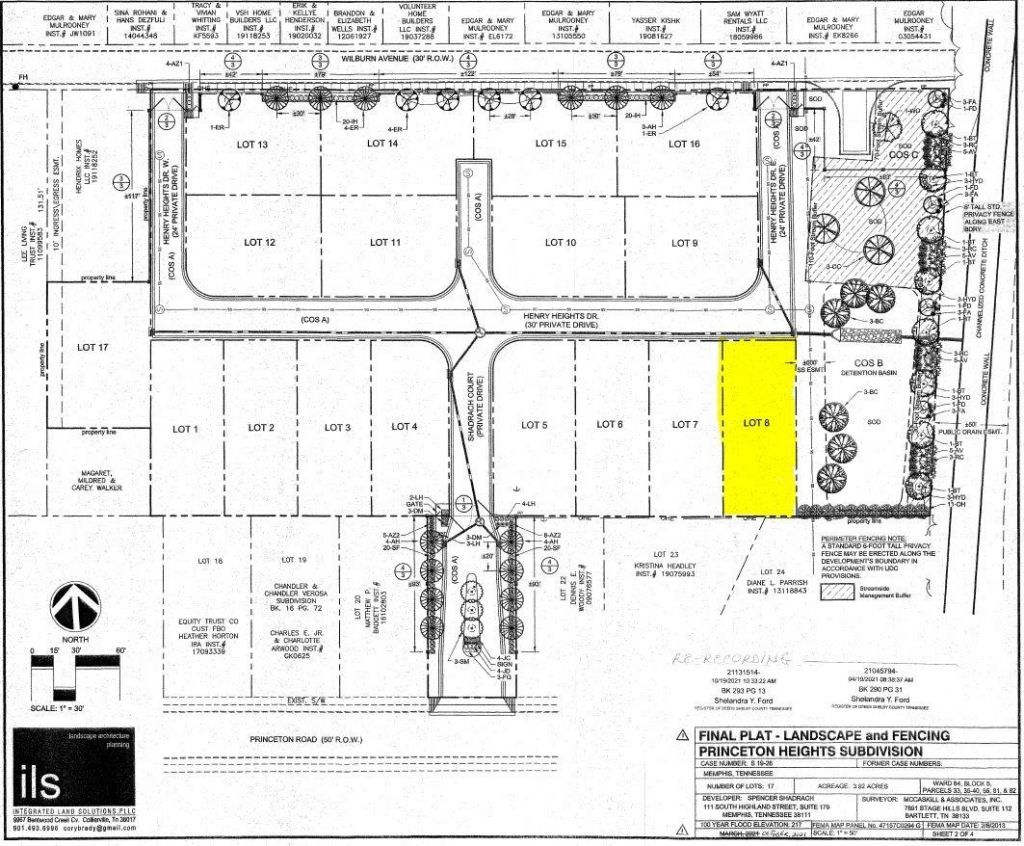
Build your dream home on Lot 8 in the gated Princeton Heights community in the heart of East Memphis! This vacant lot is situated on the end of the quiet street. At 0.14 acre, you'll have some space for backyard entertainment along with easy maintenance. All existing homes were built by Chris Tedder, known for exceptional craftsmanship & style. Looking for something different? Bring your own builder (with HOA approval) & enjoy the rare opportunity to design your custom home in this hot new neighborhood. Don't miss one of your last chances to live in this exclusive East Memphis subdivision!
Listed By
Agency Name: McWaters & Associates
Shown By
Agency Title: Crye-Leike Real Estate Services
Agency Phone: 866-253-4666
Estimated Payment
$ 352.41 per month $311.58 Principal & Interest $0.00 Property Tax (data not provided by mls) $40.83 Homeowner's Insurance
5045 Henry Heights Dr | MLS# 10207647
This land located at 5045 Henry Heights Dr, Memphis, TN 38117 is currently listed for sale with an asking price of $140,000. The property has approximately 0.14 Acres. Search White Station real estate on www.clcommercialrealestate.com today.