
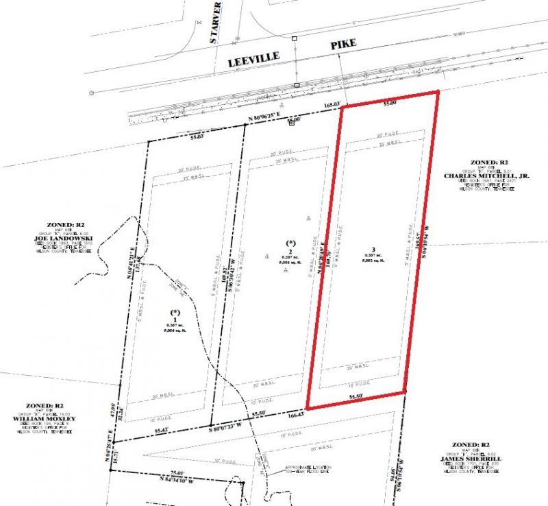
Lot 3 available of the CRV Holdings Subdivision available for sale. Lot 3 is not a critical lot and is not in a flood zone. The zoning is R2, which allows for 2 units per lot ($75,000 per unit). All City of Lebanon capacity fees have been paid for by the seller. Buyer can build a single home or a duplex per lot. Lot 4 has previously sold to a builder that is currently constructing a Triplex. The plat and a concept plan are in the Documents section. Lots 1 and 2 can also be purchased. these lots are noted as critical lots on the recorded Plat.
Listed By
Agency Name: Agee & Johnson Realty & Auction, Inc
Agency Phone: 6154440909
Shown By
Agency Title: Crye-Leike Real Estate Services
Agency Phone: 866-253-4666
Estimated Payment
$ 457.50 per month $333.83 Principal & Interest $79.92 Property Tax $43.75 Homeowner's Insurance
438 Leeville Pike | MLS# 2969491
This land located at 438 Leeville Pike, Lebanon, TN 37087 is currently listed for sale with an asking price of $150,000. The property has approximately 0.64 Acres. Search Lebanon real estate on www.clcommercialrealestate.com today.