
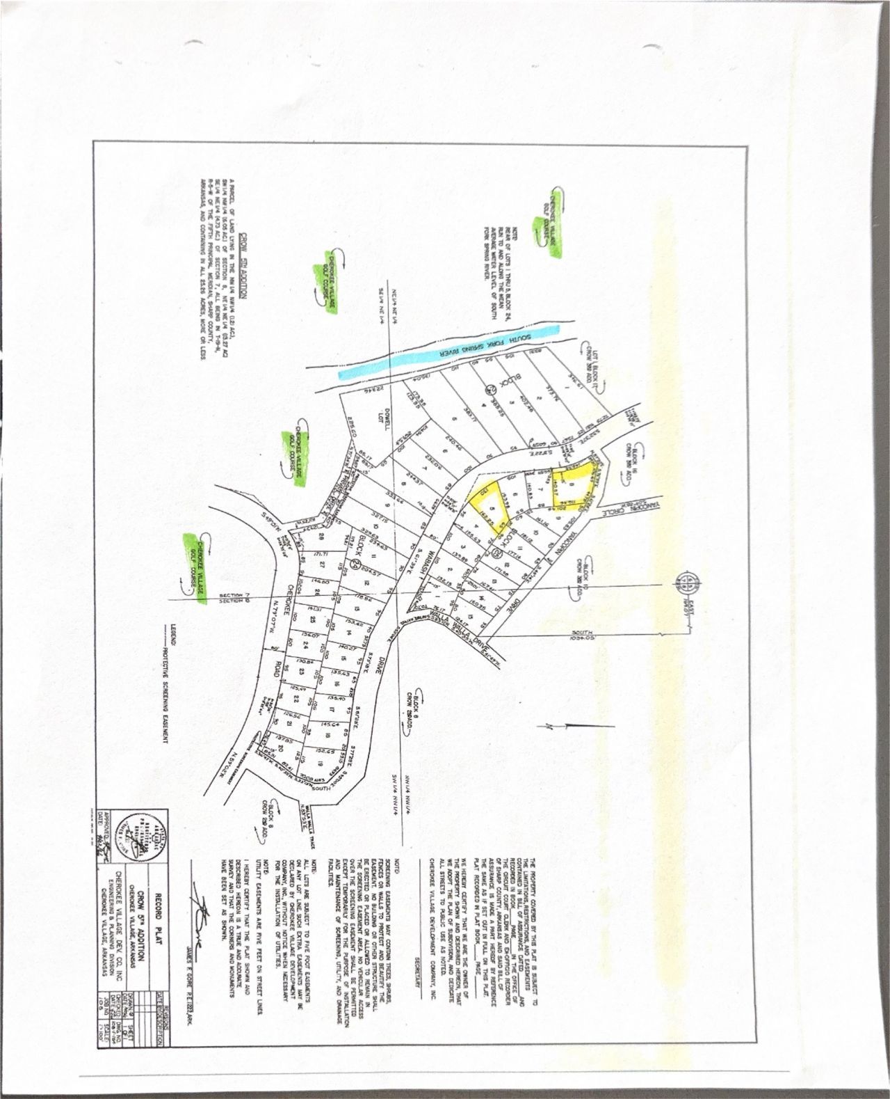
Here is the perfect opportunity to purchase 4 beautiful lots for one closing fee. You will find two lots located close to the North Golf Course, across the road from the Southfork River which runs through Cherokee Village and along side of the popular golf course. These lots are all level ground, perfect for building, with one being a nice corner lot setting on the corner of Wabash Dr and Yancopin Drive. The other two lots are located at the South Golf Course and they too are nice level lots perfect for building. Two lots are located in Fulton County and 2 are in Sharp County but all are within Cherokee Village City Limits.
Listed By
Agency Name: Century 21 Portfolio SRAB
Agency Phone: 870-856-2287
Shown By
Agency Title: Crye-Leike Real Estate Services
Agency Phone: 866-253-4666
Estimated Payment
$ 46.73 per month $8.68 Principal & Interest $36.92 Property Tax $1.14 Homeowner's Insurance
4 Golf Course Area Lots | MLS# 26007518
This land located at 4 Golf Course Area Lots, Cherokee Village, AR 72529 is currently listed for sale with an asking price of $3,900. The property has approximately 1.00 Acres. Search Cherokee Village real estate on www.clcommercialrealestate.com today.