
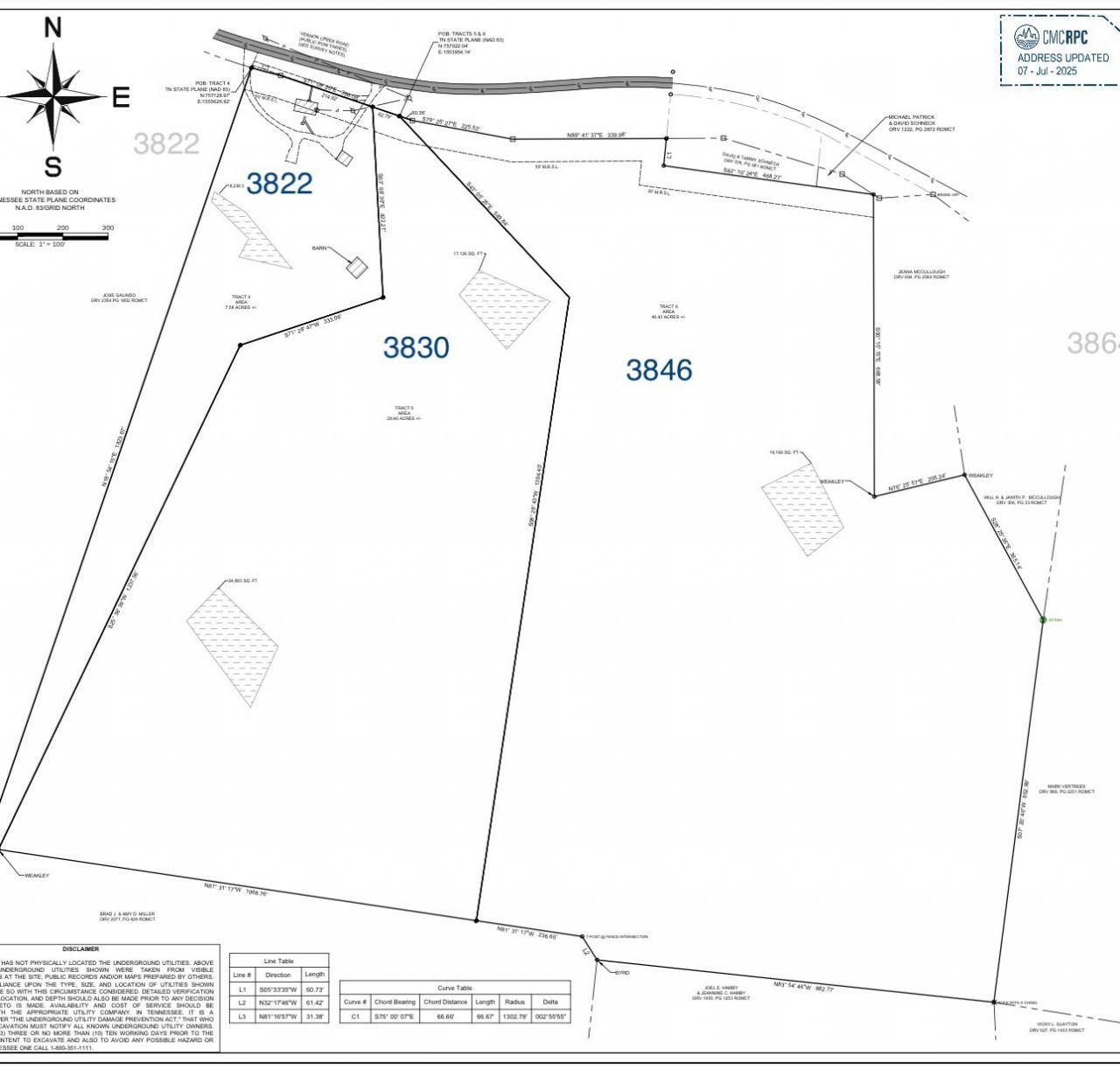
Over 40 Acres to Build Your Dream Home! Discover the perfect blend of privacy and convenience on 40+ beautiful acres, just minutes from town! Whether you're dreaming of a custom estate, hobby farm, or peaceful retreat, this property offers endless possibilities. Enjoy the serenity of the countryside without sacrificing access to schools, shopping, and dining. Soil testing as been completed for septic system. Tax's are to be determined. For GPS use 3822 Vernon Creek, land is to the left (looking from the street) of the house
Listed By
Agency Name: Keller Williams Realty Clarksville
Agency Phone: 9316488500
Shown By
Agency Title: Crye-Leike Real Estate Services
Agency Phone: 866-253-4666
Estimated Payment
$ 1,004.46 per month $888.00 Principal & Interest $0.08 Property Tax $116.38 Homeowner's Insurance
3846 Vernon Creek | MLS# 3136285
This land located at 3846 Vernon Creek , Cunningham, TN 37052 is currently listed for sale with an asking price of $399,000. The property has approximately 40.43 Acres. Search Cunningham real estate on www.clcommercialrealestate.com today.