
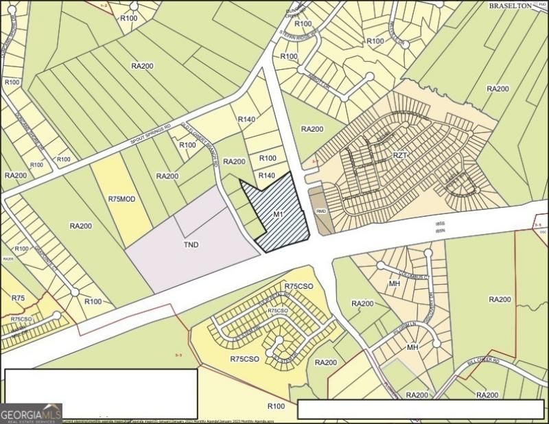
Rare Opportunity in Gwinnett! 10.2 Acres Zoned M1 with Special Use Permit for mini warehouse storage. Over 800' of road frontage on Flowery Branch Rd and high visibility from I-85. This property offers diverse potential uses for your business!
Listed By
Agency Name: Buford Realty
Agency Phone: 770-945-1052
Shown By
Agency Title: Crye-Leike Real Estate Services
Agency Phone: 866-253-4666
2000 Flowery Branch Road | MLS# 10366386
This commercial property located at 2000 Flowery Branch Road, Buford, GA 30519 is currently listed for sale with an asking price of $2,300,000. Search Buford real estate on www.clcommercialrealestate.com today.