
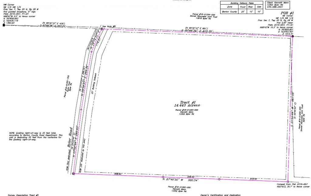
Gorgeous Land close to downtown Rogers. A GREAT FIND! Perfect for development or to build your dream home! Currently being used for pasture. This almost 14+ acres of pasture and trees is only 15 min from downtown Rogers. Amazing opportunity! Showings by appointment only as cattle may be on land and the driveway and entrance currently used are owned by the neighbor. Parcel is marked at the road with pink tape and real estate signs at the corners. Buyer would need to create driveway or private road access directly to Byler Rd. (Survey of acreage is attached to listing.)
Listed By
Agency Name: Coldwell Banker Harris McHaney & Faucette-Rogers
Agency Phone: 479-696-0600
Shown By
Agency Title: Crye-Leike Real Estate Services
Agency Phone: 866-253-4666
Estimated Payment
$ 1,163.16 per month $1,028.39 Principal & Interest $0.00 Property Tax (data not provided by mls) $134.77 Homeowner's Insurance
14.443 Ac Byler Road | MLS# 1319407
This land located at 14.443 Ac Byler Road, Garfield, AR 72732 is currently listed for sale with an asking price of $462,080. The property has approximately 14.44 Acres. Ac Byler Road is located within the Rogers school district. Search Garfield real estate on www.clcommercialrealestate.com today.