
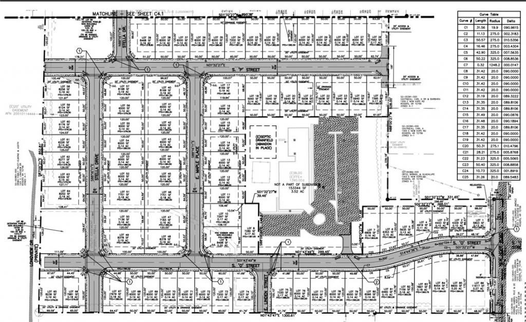
18.56 Acres ready for MULTI-FAMILY or 85 approved residential lots needing infrastructure. Approved and platted with the city of Rogers. Roselawn subdivision is located near downtown Rogers, trails, schools and Hwy 265 with easy access to Lowell, Springdale and Fayetteville. Come develop Rogers next new subdivision.
Listed By
Agency Name: Lindsey & Assoc Inc Branch
Agency Phone: 479-636-2200
Shown By
Agency Title: Crye-Leike Real Estate Services
Agency Phone: 866-253-4666
Estimated Payment
$ 12,607.00 per month $11,127.83 Principal & Interest $20.83 Property Tax $1,458.33 Homeowner's Insurance
1221 E New Hope Road | MLS# 1230497
This land located at 1221 E New Hope Road, Rogers, AR 72758 is currently listed for sale with an asking price of $5,000,000. The property has approximately 18.56 Acres. E New Hope Road is located within the Rogers school district. Search Rogers real estate on www.clcommercialrealestate.com today.