
Welcome to 1091 Birch St SW, a permit-approved opportunity to build a thoughtfully designed 2,606 SF home with 4 bedrooms and 3 bathrooms in the heart of Sylvan Hills. The plans feature an open-concept main level with seamless flow between the kitchen, living, and dining areas, a spacious primary suite with walk-in closet and spa-style bath, and well-proportioned secondary bedrooms. The property also includes a detached 2-car garage with unfinished space above, ideal for a future ADU, home office, or income-producing unit. Positioned in one of Southwest Atlanta's most active growth corridors, Sylvan Hills offers direct access to the BeltLine's Westside Trail, Lee + White's expanding food hall, breweries, and entertainment district, and nearby green spaces like Perkerson Park with its disc golf course and tennis facilities. The area continues to see significant investment and new construction, with convenient access to downtown, Hartsfield-Jackson International Airport, and major interstates. This is a strong opportunity to build with plans already in place while benefiting from the momentum and long-term upside of Southwest Atlanta.
Listed By
Agency Name: NorthGroup Real Estate Inc
Agency Phone: 404-383-6616
Shown By
Agency Title: Crye-Leike Real Estate Services
Agency Phone: 866-253-4666
Estimated Payment
$ 487.42 per month $333.83 Principal & Interest $109.83 Property Tax $43.75 Homeowner's Insurance
1091 Birch Street Sw | MLS# 10735787
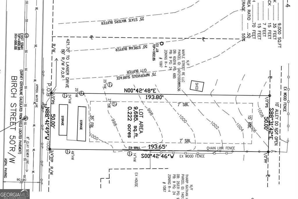
This land located at 1091 Birch Street Sw, Atlanta, GA 30310 is currently listed for sale with an asking price of $150,000. The property has approximately 0.22 Acres. Search Atlanta real estate on www.clcommercialrealestate.com today.