
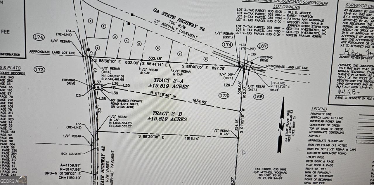
Tract 2-A is a newly subdivided wooded parcel with a shared driveway on Hwy 42 S just south of the intersection of Highway 74 and Highway 42. This tract has a small access drive on Highway 74 but can't be used for driveway. This tract can't be further subdivided.
Listed By
Agency Name: Joel Vinson & Associates Inc.
Agency Phone: 478-994-1078
Shown By
Agency Title: Crye-Leike Real Estate Services
Agency Phone: 866-253-4666
Estimated Payment
$ 449.02 per month $397.00 Principal & Interest $0.00 Property Tax (data not provided by mls) $52.03 Homeowner's Insurance
0 S Highway 42 | MLS# 10416040
This land located at 0 S Highway 42, Culloden, GA 31016 is currently listed for sale with an asking price of $178,380. The property has approximately 19.82 Acres. Search Culloden real estate on www.clcommercialrealestate.com today.