
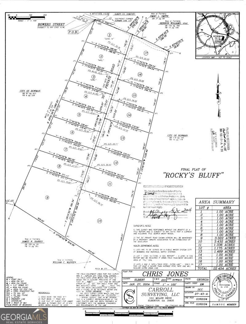
8 lots in a private subdivision for sale! Final plat was issued years ago. 8 - 1 acre lots on a private road. Buyer to verify water details and road details. Water is available at Bowers st but must be brought down the private road. Septic lots, soil test in associated documents. Bowman regulations require 1.5 acre for manufactured homes.
Listed By
Agency Name: Keller Williams Greater Athens
Agency Phone: 706-316-2900
Shown By
Agency Title: Crye-Leike Real Estate Services
Agency Phone: 866-253-4666
Estimated Payment
$ 556.69 per month $487.40 Principal & Interest $5.42 Property Tax $63.88 Homeowner's Insurance
0 Bowers Street, Unit LOT 1-8 | MLS# 10576344
This land located at 0 Bowers Street, Unit LOT 1-8, Bowman, GA 30624 is currently listed for sale with an asking price of $219,000. The property has approximately 8.00 Acres. Search Bowman real estate on www.clcommercialrealestate.com today.