
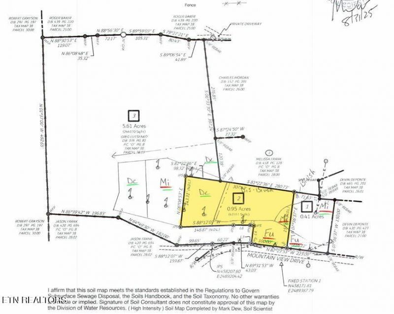
Almost 1 ACRE, level lot with NO RESTRICTIONS in the CITY LIMITS of VONORE! Soil work has already been done for a 3+bedroom septic! Perfect location just 1 mile from the lake, 6 minutes from The Mudpuppy, Sequoyah Marina and Kahite Golf Course, 15 min from downtown Maryville, and only 30 minutes to the AIRPORT! Water and electric are at the road. Sewer is not yet available, but it is just around the corner, so a possibility for the future. City of Vonore R1 zoning allows duplexes but does not allow for mobile homes at this time. Seller is a builder & could possibly build your dream home! Lot 2 has been subdivided from 038 028.03. Lots 1 and 3 are listed separately. They are 0.41 AC and 5.61 AC. See MLS 1329273 & 1329275. Taxes listed are for original 7ac tract. The property to the right (owned by another) is for sale right now as well. See MLS 1316343 for additional possibilities.***See Survey Plat attached for location ***
Listed By
Agency Name: Southern Charm Homes
Shown By
Agency Title: Crye-Leike Real Estate Services
Agency Phone: 866-253-4666
Estimated Payment
$ 125.61 per month $111.06 Principal & Interest $0.00 Property Tax (data not provided by mls) $14.55 Homeowner's Insurance
0.95 Ac Mountain View Drive | MLS# 1329274
This land located at 0.95 Ac Mountain View Drive, Vonore, TN 37885 is currently listed for sale with an asking price of $49,900. The property has approximately 0.95 Acres. Search Monroe County Ky real estate on www.clcommercialrealestate.com today.